房屋資料
案名 台北小巨蛋站【松山華城10區】光復北路210巷43號7樓 案號 114職四134金
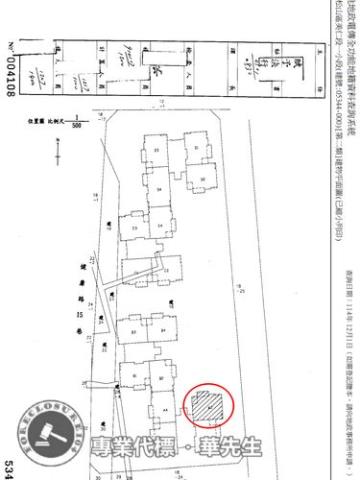
地址 台北市松山區光復北路210巷43號7樓社區/大樓松山華城10區
最新交易狀態待標中售價
3822萬
房屋類型 大樓 總登記坪數 36.85 坪
格局2房,2廳,1衛屋齡24年
每坪單價103.72萬/坪公設比
車位採抽籤制座向朝北
無障礙環境法拍屋 本物件是法拍屋
拍次 : 1
開標日期 : 114/12/17
建物所在樓層7/13管理費500元/月
管委會中庭
電梯 是否為凶宅
300公尺內嫌惡設施 面前道路
面寬 縱深
邊間房屋銷售來源不動產經紀人/專業仲介
房屋特色
貸款才是決勝點,提供預審,保證核貸
千萬經理人,接任台灣不動產拍賣協會監事

◆門牌:光復北路210巷43號7樓
◆主建物:18.27坪
◆附屬:2.91坪
◆公設:15.67坪
◆土地:8.13坪
◆土地現值【第三種住宅區■114年公告現值:342271元/㎡】【第三種住宅區■114年公告現值:338000元/㎡】
◆房屋用途:RC造/集合住宅
◆房屋樓層:所在7樓/總樓層13樓
◆房屋朝向:朝北
◆管理費用:500元/月

◎房屋格局:2房/2廳/1衛(此格局為原建設規劃或內政部實價登錄,僅供參考,以現況為準!)
◎交通動線:鄰近光復北路與南京東路,距離捷運台北小巨蛋站500公尺
◎捷運站:可前往南京三民站或小巨蛋站,通勤便利
◎公車站牌:光復北路、南京東路沿線多線公車,路線選擇多
◎生活機能:附近有超商、超市、餐飲店,日常採買方便
◎鄰近學校:民生國小、介壽國中,學區選擇完整
◎公園綠地:民生公園、小巨蛋周邊綠地,臺北田徑場
◎醫療診所:周邊有三軍總醫院,醫療資源充足
◎停車說明:社區停車位採抽籤制,若不抽籤或未抽中,可每月領取回饋金新臺幣900元
【法院筆錄】●點交情形→點交●
1‧本件拍賣標的5344建號、6127建號建物鄰近台北小巨蛋捷運站商圈,現場無水、無電,似無人居住,債務人表示偶爾會來,每月管理費新臺幣500元,另系爭建物無增建、無其他足以影響交易之特殊情事;標的18-5地號位於公有龍城市場北邊的空地。標的2-1地號、18地號、18-5地號土地使用分區均為第三種住宅區。
2‧標的6127建號建物位於地下二層,現作為停車場使用,據債務人表示因停車位不夠,以抽籤決定,若不抽籤或未抽中,則可領取回饋金每月新臺幣900元,另謄本註記本建物不得加設夾層,違者無條件拆除,並負擔拆除費用;因不動產登記謄本並未記載停車位之位置與編號,故6127建號建物拍定後不點交,且共有人亦無優先承買權。
3‧本件係拍賣標的5344建號建物所有權全部,拍定後點交。6127建號建物為應有部分,拍定後不點交。《拍賣抵押物》

※無人買受時,酌減20%估算,概以執行單位公告為準
第一拍12/17底標價:3822萬
第二拍未定底標價:3058萬
第三拍未定底標價:2447萬

王牌經理人,十六年以上法拍經驗豐富
眼光最精準,代標多筆億元以上的案件
在地最深耕,資源豐富廣闊人脈執行力
協助自用者,找到理想實用的房屋圓夢
幫助投資人,創造物件最高投資報酬率
最專業團隊,讓您案件事半功倍又圓滿

【在地深耕,眼光精準,人脈廣闊】
■產權清楚、案件評估、排除瑕疵事故
■全程負責、快速交屋、拍後不被騷擾
■代墊利率6.3%、額度8成、手續費0.3%
■房貸利率2.65%、免排隊、立即撥款
■法拍屋代墊款、需要資金、歡迎找我

104法拍網|透明房訊|全國最大
◆規模最大◈歷史最久◆
全國七處分公司,300多位編制人員
成立於1986年,全國16家法院駐點
◆專業最強◈全國唯一◆
全國超過1800場授課專業講習
100坪倉庫,造冊拍賣遺留物
◆正派經營◈開立發票◆
營業員(99)登159091號
經紀人(96)年北市經證字01243號
一零四法拍網(股),統編28306523

能看屋的,網頁會註明。一般法拍屋查封之後無法入內參觀,可依據建物平面圖推斷室內格局是否方正,或參考樓上樓下鄰居房屋。(預約看屋留言,一律不回)
坪數說明
建物登記總坪數土地登記總坪數8.13
主建物坪數18.27停車位坪數
附屬建物坪數2.91公共設施坪數15.67
增建坪數
周邊環境
生活機能鄰近交通
鄰近地標公園綠地
鄰近學區捷運站
房屋聯絡人資訊
聯絡人姓名經理:華國峰 / 特助:李佩玟
(煩請告知聯絡人,您是在889房屋網看到這則廣告,真摯感恩您的幫忙)
手機
0916-000-104(經理:華國峰 / 特助:李佩玟)
電子信箱foreclosure104@yahoo.com
Skype通話 Line加入好友 Line加入好友
所屬公司名稱透明房訊 ,104法拍網(股)
公司電話(02)8262-5555 / (03)337-5555公司傳真全國直營,法拍專家
公司地址新北市土城區金城路二段396號11樓 / 桃園市桃園區莊敬路一段346號4樓
網 址http://www.104法拍屋.tw

贊助商廣告
松山法拍大樓
台北松山法拍大樓-1
台北松山法拍大樓-1
台北松山法拍大樓-2
台北松山法拍大樓-2
台北松山法拍大樓-3
台北松山法拍大樓-3
台北松山法拍大樓-4
台北松山法拍大樓-4
台北松山法拍大樓-5
台北松山法拍大樓-5
台北松山法拍大樓-6
台北松山法拍大樓-6
台北松山法拍大樓-7
台北松山法拍大樓-7
台北松山法拍大樓-8
台北松山法拍大樓-8
台北松山法拍大樓-9
台北松山法拍大樓-9
台北松山法拍大樓-10
台北松山法拍大樓-10
台北松山法拍大樓-11
台北松山法拍大樓-11
觀看地圖
黃金熱銷物件
相似物件

物件留言
請注意,如果您詢問的內容與物件不相符合或是廣告,經過審核,系統將會直接刪除您的發問內容
等待圖示
檢舉不實
等待圖示
●電話:07-7963288  ●電子信箱:服務信箱

本網站保留一切權利,非經正式書面同意,禁止轉貼節錄。建議瀏覽解析度1024*768。